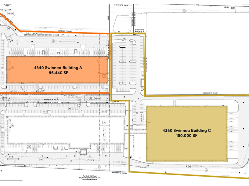
Key Facts
- Property type
- Industrial space 
- Total building size
- 96,440 SF 


Key Facts
- Property type
- Industrial space 
- Total building size
- 96,440 SF 
Property features
Available 2/1/2024
6,325 Office SF
Year Built: 2000
24' clear height
TPO Roof
100% HVAC
ESFR Sprinkler
39 Dock Doors
T-8 Fluorescent Lighting
Auto Parking – 103
Site is fenced and truck court is gated
Immediate Access to Memphis International Airport and the FedEx World Hub
Photos and floorplans
Location
Population
Within 10 miles
Total Population
449,365
Total Labor Force
276,784
Median Household Income
$54,028
Warehouse Employees
3,232
High school education or higher
67.0%





